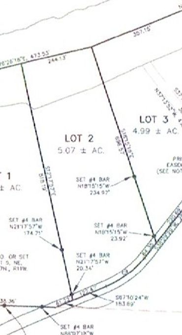
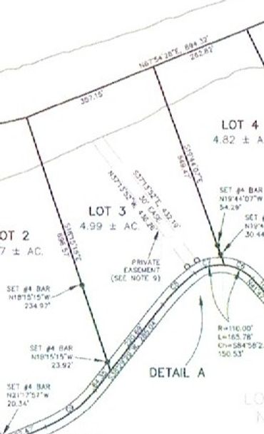
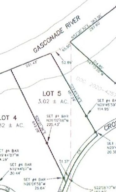
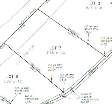
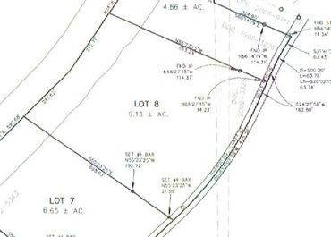
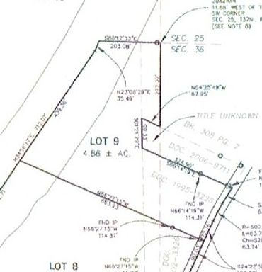
This is an online auction of 48.96 acres m/l surveyed into 9 lots ranging from 3 to 9 acres each.
Each lot has some frontage on Crown Road and the north property line is the Gasconade River.
Great views from this bluff property. There is a home on Lot 7. There is a garage workshop on Lot 8 with a well (unknown condition). Lot 9 has an older house that probably should be removed.
Listed with a Buy-it-Now Price of $350,000.00 for the entire acreage.
Auction Starts - February 6, 2026
Preview by appointment.
Auction begins to close - 1:00pm, Wednesday, Feb 25th, 2026
Here is the link:
https://www.apro.bid/auction/eagle-view-subdivision-gasconade-river-lots-10376/bidgallery/
Files coming soon.











We have combined several estates to bring you a wide variety of merchandise in this nearly 1,000 lot auction: trailers, chainsaws, fishing equipment, knick knacks, chest freezers, home decor, and more...
Take your time and check out all of the lots. We don't want you to miss anything. Make plans to attend the preview on Sunday afternoon, Feb 1st.
Each lot will have several photos. Please look at all the photos of the item(s).
Auction will start to close at 6:30PM on Thursday, February 5th. Closing 3 lots at a time every 20 seconds. You should consider placing your max bids! There is extended bidding for lots receiving bids within 2 minutes of scheduled close times.
Auction Starts - Sunday, Jan 25th, 2026
Preview is - Sunday,Feb 1st, 2:00 - 4:00 PM
Auction begins to close - at 6:30pm, Thursday, Feb 5th, 2026
Pick up is - Friday, Feb 6th, 9AM - Noon or Saturday, Feb 7th, 9AM - 1PM at 30285 State Hwy AB. Richland, MO 65556
Here is the link:
Files coming soon.



















Selling the "Classic Chevys" from the Ed Roemer Estate. All vehicles have clear Missouri Titles. Please preview the vehicles before bidding. Ed liked his race cars. This is your opportunity to acquire a classic C2 Corvette (Looks like one coupe is a Tanker), Chevy II, Malibu, Camaro or "Racing" Nova and put these vehicles back out for the public to see and you to enjoy. They've been hid in buildings for too long. Also have a good running tractor and an enclosed bumper pull car hauler if you need to transport your new car home. We have not attempted to start any of the cars. Some parts are in this auction, too. Please attend the preview.
Auction Starts - Monday, Aug 18th, 2025
Preview is - Sunday, Aug 31th, 2:00 - 4:00 PM
Auction begins to close - at 7:00pm, Thursday, Sep 4th, 2025
Pick up is - Saturday, September 6th, 9AM - 1PM at 24328 S. Hwy 133, Richland, MO 65556
Here is the link:
Files coming soon.







*Moving Auction-Owensville*
*Home in Laquey, MO area*
*Isolated 6 acres river bottom land near the Gasconade River*
Files coming soon.